Completed Projects- Subhadra Apartment
Welcome to Subhadra Palace!
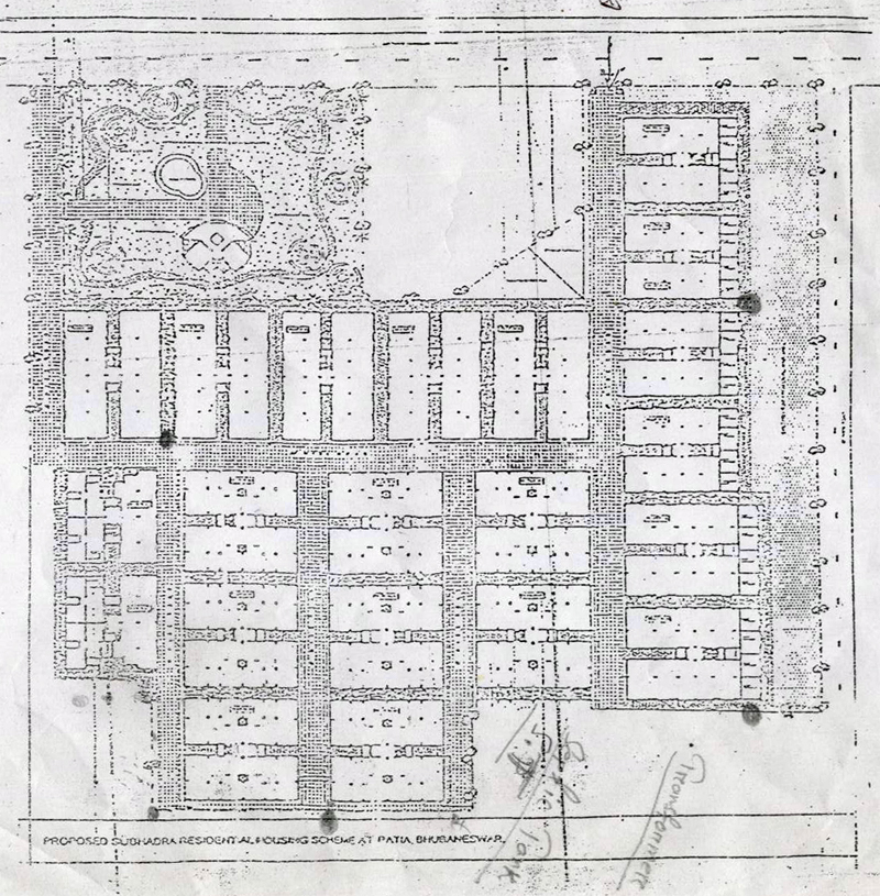
Subhadra Residential Housing Scheme, Bigbazar Patia.Subhadra Apartment is a housing complex with about 300 flats on the Nandan Kanan road, 750 meters from Big Bazaar and KIIT University
Subhadra Apartments is one of the popular Residential Developments in Patia neighborhood of Bhubaneswar.
Project has various modern amenities like Garden, Play Area, Maintenance Staff, and Security etc
Specification
WALLS
Outer Walls – Weather CoatInner Walls – Wall Putty with Distemper
FLOORING
Rooms – Vitrified FlooringKitchen - Vitrified Tiles with Green marble/ Granite Top Slab
Toilet – Antiskid floor Tiles
Living/Dinning – Vitrified Tiles
DOORS & WINDOWS
Main Door – Flush DoorInner Doors – Flush Door
Windows – M.S. grill & Aluminum Chanel with glass
Toilet – Waterproof PVC/FRP door


















